Service Guide

Get Ants Extermination Service

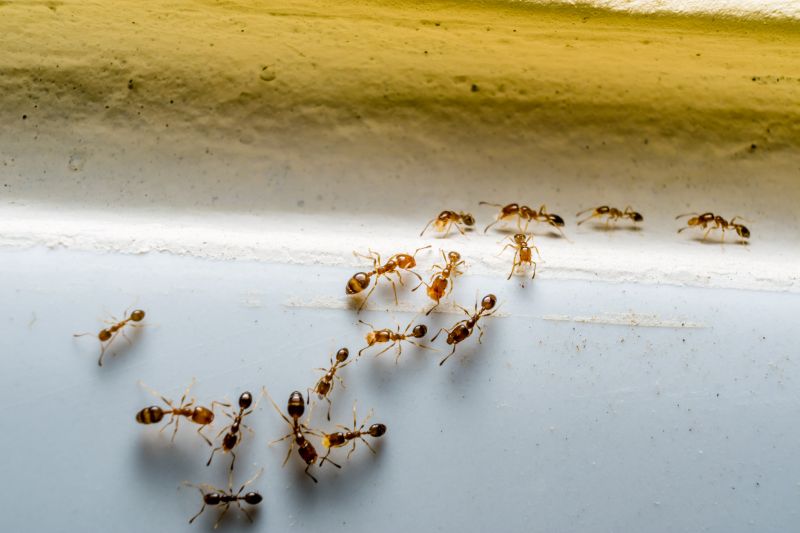
Local contractors provide ant extermination services to eliminate infestations, protect properties, and handle residential or commercial pest control projects effectively.

Ants can quickly become a persistent nuisance for property owners, making effective extermination services an important consideration. Whether dealing with an ongoing invasion or preparing for a pest-free environment, finding reliable local contractors with experience in ant control can help address the issue efficiently. Exploring your options and comparing services in the area ensures you can select a solution tailored to your property's specific needs.

Understanding the benefits of professional ant extermination can support your planning process, especially if you're managing a property that requires ongoing maintenance or preparation for future projects. By reviewing local service providers, property owners can identify trusted experts who specialize in ant control, making it easier to make informed decisions about the best approach for their situation. Keep reading to learn more about connecting with experienced contractors in your area.

Get Ants Extermination Service Quotes

  • Ants Extermination - needed when ants have invaded a home or business and are difficult to control.
  • Ants Prevention - sought after to stop ant infestations before they become a major problem.
  • Ants Inspection - required when identifying the source of an ant infestation or assessing the extent of the problem.
  • Ants Barrier Treatment - used to create a protective perimeter around properties to prevent ant entry.
  • Ants Removal - necessary when ants are present in large numbers and need to be safely eliminated.
Ants Extermination Service
Ants Extermination Service
Ants Extermination Service

Ants extermination services involve identifying and eliminating ant infestations in residential and commercial properties. Skilled service providers use targeted treatments and proven techniques to remove ants from indoor and outdoor spaces. The process typically includes inspecting the property to locate ant colonies, applying appropriate barriers or baits, and implementing ongoing prevention measures to keep ants from returning. This comprehensive approach helps ensure that the problem is resolved effectively and that the property remains ant-free over time.

Ant infestations can cause a variety of problems for property owners. Beyond the nuisance of having ants in the home or business, certain species can contaminate food, damage structures, or create unsanitary conditions. For example, carpenter ants can weaken wooden structures, while sugar ants may invade kitchens and pantries. Ants also tend to multiply quickly, making early intervention important. Professional extermination services help address these issues promptly, reducing the risk of further damage or health concerns.

Properties that typically use ant extermination services include single-family homes, apartment complexes, restaurants, and retail stores. Homes often seek help when ants are seen in kitchens, bathrooms, or around the foundation, especially during warmer months when ant activity increases. Commercial properties, such as food establishments or warehouses, may require regular pest control to maintain sanitation standards. In general, any property experiencing persistent ant activity or signs of an infestation can benefit from the expertise of local contractors specializing in ant extermination.

Choosing to work with local service providers ensures that property owners receive tailored solutions suited to their specific needs. These professionals are familiar with common local ant species and effective treatment methods. Whether dealing with a small indoor invasion or a widespread outdoor colony, experienced contractors can develop a plan that addresses the source of the problem. Contacting a local expert is a practical step for homeowners and property managers who want to restore comfort and cleanliness by effectively managing ant issues.

The overview below groups typical Ants Extermination Service projects into broad ranges so you can see how smaller, mid-sized, and larger jobs often compare in your area.

In many markets, a large share of routine jobs stays in the lower and middle ranges, while only a smaller percentage of projects moves into the highest bands when the work is more complex or site conditions are harder than average.

Initial Inspection - The cost for a basic ant inspection typically ranges from $100 to $250. Many routine inspections fall within this range, with fewer cases requiring extensive assessment that can push costs higher.

Spot Treatments - Spot treatment services usually cost between $150 and $400 for targeted ant removal. Most projects involving localized infestations stay in this middle range, while larger or more stubborn colonies may increase the price.

Full Property Treatments - Complete property extermination services often range from $300 to $600, depending on the size of the property and the severity of the infestation. Larger, more complex projects can sometimes reach $1,000 or more.

Ongoing Prevention Plans - Ongoing prevention or quarterly treatment plans typically cost between $200 and $500 annually. Many homeowners opt for these plans to maintain ant-free conditions, with fewer projects extending into higher tiers.

Actual totals will depend on details like access to the work area, the scope of the project, and the materials selected, so use these as general starting points rather than exact figures.

Get a Quote

Pest Control for Cockroach Infestations - local contractors use similar inspection, treatment, and prevention techniques to address cockroach issues, requiring knowledge of pest behavior and control methods.

Spider Removal Services - professionals employ planning, safe removal tools, and targeted treatments comparable to ant extermination strategies to eliminate spiders from residential or commercial spaces.

Termite Inspection and Treatment - experts utilize detailed inspection skills and chemical application tools akin to ant control procedures to identify and eliminate termite colonies.

Rodent Exclusion and Removal - service providers implement planning and sealing techniques that are similar to ant barrier methods to prevent rodent entry and remove infestations.

Bed Bug Treatment Services - local pros use specialized treatment plans and tools comparable to ant extermination to eradicate bed bugs from affected areas.

Bee and Wasp Nest Removal - professionals apply planning, safe removal techniques, and specialized tools similar to ant control to handle stinging insect nests safely.

Ants Extermination Service

When evaluating potential contractors for ant extermination services, it’s important to consider their experience with similar projects. Homeowners should inquire about how long a service provider has been handling ant issues and whether they have worked on properties comparable to their own. An experienced local contractor will be familiar with common ant species in the area and understand the most effective treatment methods, which can lead to more reliable results. This background helps ensure that the chosen professional has a proven track record of successfully managing ant problems similar to the homeowner’s situation.

Clear written expectations are essential when comparing local service providers. Homeowners should seek detailed information about the scope of work, the methods used, and any follow-up procedures. Having a transparent outline of what to expect helps prevent misunderstandings and ensures that both parties are aligned on the services provided. Reputable local contractors typically provide this information upfront, making it easier for homeowners to assess whether the service aligns with their needs and to make an informed decision.

Good communication and reputable references are key factors in selecting a reliable ant extermination service. Homeowners are encouraged to ask for references from past clients who had similar issues, as this can provide insights into the contractor’s professionalism and effectiveness. Additionally, clear and prompt communication throughout the process indicates a contractor’s commitment to customer service. By focusing on these qualities, homeowners can find local service providers who are responsive, trustworthy, and capable of delivering quality results for their ant control needs.

Get an Ants Extermination Service Quote

Property owners use Ants Extermination Service services for practical projects around their homes and businesses. This guide focuses on everyday jobs and straightforward project options.

Ants Extermination Service
Ants Extermination Service

Ants can quickly become a nuisance for property owners dealing with common household or yard issues. Whether ants are invading kitchens, contaminating food supplies, or nesting in garden beds, many local residents seek professional help to manage and eliminate these pests effectively. Local contractors experienced in ant extermination can assess the situation, identify the species involved, and implement targeted solutions to restore comfort and cleanliness to the home or property.

Homeowners and property managers often turn to local service providers when ant problems persist despite basic treatments. Signs such as visible trails, large colonies, or recurring infestations can indicate the need for specialized pest control services. These local contractors are equipped to handle a variety of project situations, from small indoor outbreaks to extensive outdoor colonies, helping property owners maintain a pest-free environment with reliable, professional assistance.

Get an Ants Extermination Service Quote

How can local contractors eliminate ants from my home? Local contractors typically use targeted treatments and exclusion methods to remove ants and prevent future infestations.

Are there different types of ant extermination services available? Yes, service providers often offer solutions tailored to specific ant species and infestation severity.

What should I do to prepare for an ant extermination service? It's usually recommended to clear the affected areas and remove food sources to ensure effective treatment.

Can ants return after extermination? While treatments can be effective, ongoing prevention measures may be advised by local service providers to reduce the risk of re-infestation.

How do local contractors handle ant infestations in outdoor areas? They may apply outdoor barriers, bait stations, or treatments to eliminate ants and protect landscaping.

Ants Prevention Tips - Property owners can learn practical strategies to reduce ant attractants around their homes, helping to prevent infestations.

Inspection and Identification - Local contractors can assist in identifying ant species and pinpointing entry points to address specific problem areas.

Effective Extermination Solutions - Homeowners can explore how professional ant extermination services provide targeted treatments to eliminate colonies.

Ongoing Pest Management - Property owners can consider maintenance plans from service providers to keep ants from returning over time.

Ants Extermination Service

If you are thinking about Ants Extermination Service for a property, this guide is meant to help you understand the work, the typical project types, and how different options might fit your plans.

When you are ready, you can use the quote form on this page to share a few details about your project. From there, local pros can review the basics and respond with options that match what you have in mind.

Get a Quote

Ants Extermination Quotes

Our Trusted Partners
Venning Pest Control
Get Green Lawn Kings
Bulwark Exterminating